Реклама

продаю под коммерчески земельный участок 9 га на трассы м5 первый линии

30 000 000 руб. от 16 февраля 2026 г.

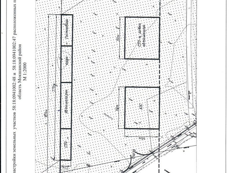
Продам земельный участок площадью около 9 га на первой линии трассы М-5 (автодорога Москва-Челябинск в Пензенской области, Мокшанский район, возле поворота на Иссу (в сторону г. Саранск). В настоящее время участок оформлен под строительство комплекса дорожного сервиса (АЗС, СТО и мойка автомашин, автомагазин, гостиница), пройдено согласование с ФКУ «Поволжуправтодор». Коммуникации рядом, согласование пройдено. Возможна продажа по частям. Все вопросы возможно обсудить и согласовать собственник

Цена договорная! Кадастровый номера 1) 58:18:0941002:47 2)58:18:0941002:48

Месторасположение: пензенский область мокшанский район
Площадь, соток: 900соток

Контактное лицо

Собственник Россия, Московская область, Москва

  • http://https://e.mail.ru
Адрес этого объявления:
  • © 2015-2026 Dibi.ru
  • |
  • Обратная связь
  • |
  • Сменить город
  • |
  • Правила подачи объявлений
  • |
  • Пoльзовательское соглашение